Project Overview
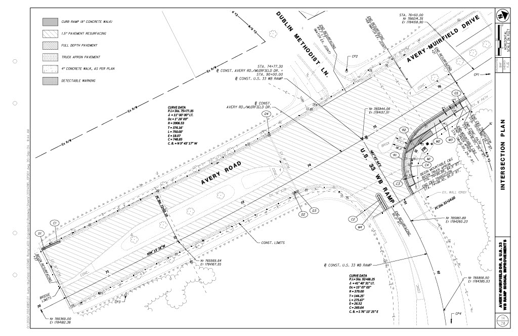
The City has contracted with Strawser Paving for this project, which consists of a new truck apron and sidewalk on the northeast corner of the 33 Westbound ramp to northbound Avery/Muirfield Dr., a new signal pole and new pavement.
Some of the truck apron work will be performed during the day. Most of the pavement work will occur at night to limit the impact to drivers.
Work Status
· Improvements to the northeast corner of the U.S. 33 Westbound ramp turn lane to northbound Avery-Muirfield Drive and installation of video detection system.
Traffic Impact
· No traffic impact currently.
· As work progresses, trucks will detour straight onto Dublin Methodist Lane, then right on Hospital Dr, then back to Avery/Muirfield Drive.
Completion Date — May 2026












