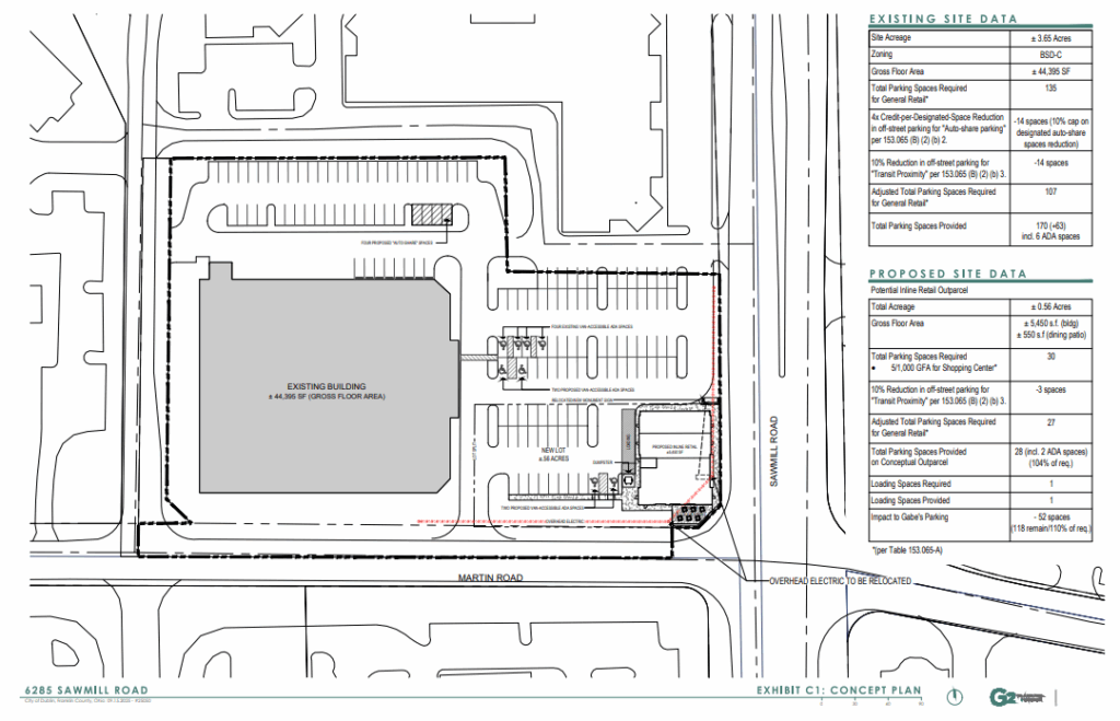
Case 25-089 – Concept Plan – 6285 Sawmill Rd
Request for review and non-binding feedback for a +/-5,450 square foot commercial building and associated site improvements. The +/-0.56-acre site is zoned BSD-C, Bridge Street District – Commercial, and is located at the northwest corner of Sawmill Road and Martin Drive.
Applicant: Phillip Moorehead; G2 Planning & Design
Planner: Bassem Bitar, Deputy Director of Planning; bbitar@dublin.oh.us; (614) 410-4635
Planning and Zoning Commission – October 2, 2025 – Discussed – Video
Report | Narrative | Drawings | History
