
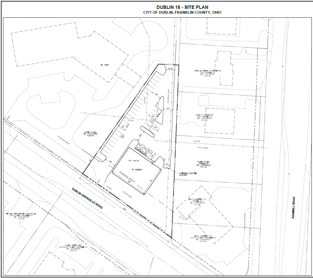
Case 26-017 – Informal Review – 3800 W Dublin-Granville Rd
Applicant: Curtis Echelberry
Planner: Tori Brubaker, Planner I: tbrubaker@dublin.oh.us, (614) 410-4632
Request for review and non-binding feedback on a proposed lot split creating a new 1.08-acre parcel for a future commercial development. The existing 5.08-acre parcel is zoned BSD-SCN, Bridge Street District – Sawmill Center Neighborhood, and is located at 3800 W. Dublin Granville Road.
Planning and Zoning Commission – April 9, 2026 – Discussed – Video
Planning Report | Project Narrative |Combined Drawings | History